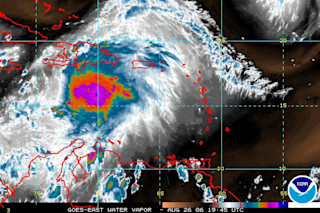
Above is the latest water vapor image for Ernesto, which now has a central pressure that's dropped to 997 mb and sustained winds that are nearing 60 mph. In short, it looks like this is going to be a Category 1 hurricane soon, our first of the season. And the projected track continues to look scary. It will be beyond cruel if, around the time of the Tuesday anniversary of Katrina, New Orleans has to evacuate again. But that's within the range of possiblities.

And then there's Cat 5 Hurricane Ioke, shown above well to the west of Hawaii. This is shaping up to be one hell of a storm. Let me post an excerpt for you from the latest forecast discussion of the Central Pacific Hurricane Center:
IOKE WILL LIKELY GO THROUGH AN EYEWALL REPLACEMENT CYCLE WITHIN THE NEXT 12 TO 24 HOURS...RESULTING IN SHORT TERM STRENGTH FLUCTUATIONS. HOWEVER...MODEL GUIDANCE KEEPS IOKE AT OR NEAR ITS CURRENT STRENGTH THROUGH 120 HOURS. AS AN OUTLIER...GFDL WANTS TO STRENGTHEN IOKE TO 168 KT AT 96 HOURS. SINCE OUR PREVIOUS FORECAST MAXIMUM SUSTAINED WINDS AT 96 AN 120 HOURS WERE NEAR THE LOW END OF THE GUIDANCE RANGE...WE BUMPED THESE UP BY 5 KT AT EACH OF THESE TIMES THIS ROUND. INCREASING SST AND LOW SHEAR ALONG THE FORECAST TRACK WILL...AT THE VERY LEAST...GREATLY SLOW IOKE/S DECAY AT HIGHER LATITUDES. IF THIS PANS OUT...IOKE COULD ENTER THE RECORD BOOKS FOR LONGEVITY AS A CATEGORY 4 OR GREATER STORM.
First of all: 168 knots! I know that's an outlier projection, but if the storm did ever get that strong, I really think we would have to call it a Category 6. Secondly, I can't help thinking about Ioke in the context of Kerry Emanuel's Power Dissipation Index (PDI), which integrates maximum wind speeds over the entire lifetime of a storm. Well, here's a massively powerful storm that is just churning and churning and dissipating tons of power. So if Ioke enters the record books for longevity as a Cat 4 or greater, it seems likely to me that it may also dissipate more power than any other storm on record. And of course, PDI was the measurement that led Emanuel to see a strong increase in the strength of hurricanes over time, which he attributed in part to global warming. I'm not blaming Ioke on global warming, but there are certainly some weird things about this storm....
P.S.: Another question about Ioke, which is headed west toward Wake Island in the Pacific....if this hurricane which formed in the central Pacific proceeds far enough west, does it then become a typhoon? Or does it have to form in the west Pacific to be called one? I don't have any idea....














