
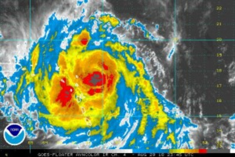
Our first really threatening storm of the peak of hurricane season, the Category 1 Earl (infrared at right), is intensifying near the Leeward Islands. The current forecast expects this trend to continue and maybe go as high as Category 4 intensity. The key issue here is precisely what path Earl follows. Beyond the Caribbean, there is a potential threat to the Carolinas and also New England, as you can see in the current 5 day forecast cone (below). At this point, there's no predicting this. Earl could be harmless to the U.S., or, it could be completely hair-raising, with vulnerabilities spread along the East Coast. Stand by...














