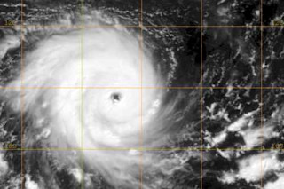
Poor Madagascar. Another intense cyclone--Jaya--is heading in its direction. This storm, which just three days ago I was predicting would develop, has now intensified much faster than expected. According to the University of Wisconsin folks, it's already a Category 3 storm, with winds of 104 knots and a minimum sea level pressure of 941.2 millibars. And as you can see, Madagascar may once again be the endzone.

I now pose a scientific question: Has anyone done a study over time of how many hurricanes per year rapidly intensify--by, say, more than 3 categories in 24 hours? I wonder if the results would show a trend. Of course, I'm sure there would be huge data issues.














